ロゴマーク

愛媛県南予御荘の豊かな海でチヌの筏釣り・御荘牡蠣を楽しむ

営業時間など

QRコード
MAP

もっと詳しく見る

〒798-4102
愛媛県 南宇和郡 愛南町
御荘平山 443番地
御荘湾 上甲商会

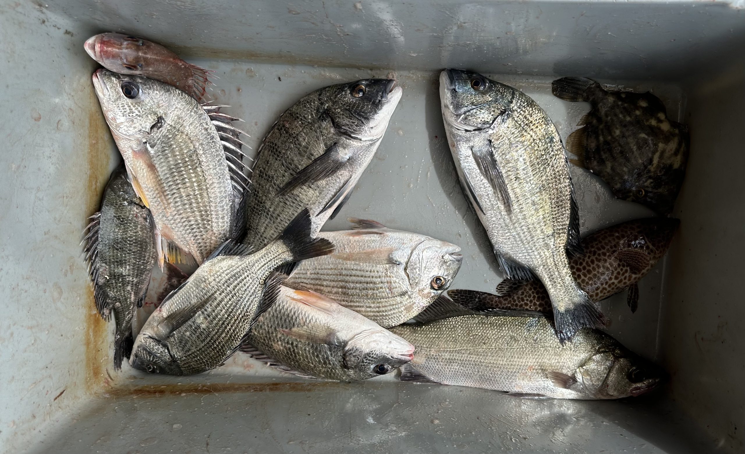
釣果速報

釣果

森氏釣果

3号筏
チヌ49cm頭
8匹
餌:カニ・サナギ等

2025.12.13
釣果

和田氏釣果

3号筏
チヌ40cm前後
餌:サナギ等

2025.12.13
釣果

北氏釣果

3号筏
チヌ35cm前後 
餌:オキアミ等

2025.12.13
釣果

桧垣氏釣果

3号筏
チヌ40cm前後 10匹
餌:サナギ・オキアミ等

2025.12.13
釣果

古川氏釣果

3号筏
チヌ45cm頭 5匹
餌:サナギ等

2025.12.06
釣果

西川氏・横溝氏釣果

3号筏
チヌ35cm前後 5匹
キビレ
餌:オキアミ等

2025.11.24
釣果

森氏釣果

3号筏
チヌ48cm
他8匹
餌:サナギ・オキアミ等

2025.11.23
釣果

福井氏釣果

3号筏
チヌ35cm前後 6匹
餌:オキアミ・サナギ等

2025.11.17
釣果

下馬氏釣果

3号筏
チヌ35cm前後 8匹
餌:オキアミ・サナギ等

2025.11.13
釣果

古川氏釣果

3号筏
チヌ52cm
餌:サナギ等

2025.10.28
釣果

篠崎氏・森氏釣果

3号筏
チヌ 11匹
餌:サナギ・オキアミ等

2025.10.25
釣果

西川氏・横溝氏釣果

3号筏
チヌ48cm頭他
餌:オキアミ等

2025.10.12
釣果

岩井氏・天野氏釣果

3号筏
チヌ・キビレ
餌:サナギ・オキアミ等

2025.09.26
釣果

岡氏釣果

3号筏
カンパチ(ネイリ)
餌:マメアジを釣って

2025.09.24
釣果

山本氏釣果

3号筏
チヌ他
餌:ボケ等

2025.09.24
釣果

朝日氏釣果

1号筏
チヌ15匹
餌:ボケ・オキアミ等

2025.09.20
釣果

森氏釣果

1号筏
チヌ16匹
餌:カニ・サナギ

2025.09.09
釣果

森氏釣果

1号筏
チヌ53cm
14匹
餌:カニ・サナギ等

2025.08.15
釣果

福池氏釣果

1号筏
チヌとヒラスズキ
餌:ボケ等

2025.08.15
釣果

田中氏釣果

1号筏
チヌ52cm
他 11匹
餌:オキアミ等

2025.08.11